October 27, 2025 | Classical Languages of India
October 28, 2025
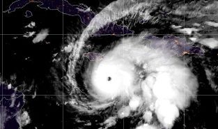
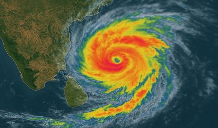
Cyclone Montha: CM Naidu urges NDA MPs, MLAs to stand by people
Andhra Pradesh Chief Minister N. Chandrababu Naidu on Tuesday asked the NDA MPs, ministers, MLAs and other leaders to stand by the people in the wake of severe cyclone Montha. In a teleconference wit...
October 28, 2025
IMD forecasts heavy rain, issues yellow alert for 23 districts in Rajasthan
The India Meteorological Department (IMD) on Tuesday issued a yellow alert for 23 districts of Rajasthan, warning of thunderstorms, gusty winds (20–40 kmph), and light to moderate rainfall over the next few days. The alert covers the districts of Bhilwara, ...
October 28, 2025
Odisha on high alert as Cyclone Montha nears; over 3,000 evacuated
The Odisha government on Monday placed its entire administrative machinery on high alert to tackle the possible impact of Cyclone Montha, which is expected to make landfall between Machilipatnam and Kalingapatnam, near Kakinada in neighbouring Andhra Pradesh, ...
October 28, 2025
China and ASEAN, hit by US tariffs, sign upgraded free trade pact
The ASEAN bloc of Southeast Asian nations and China on Tuesday signed an upgrade to their free trade agreement, which includes sections on digital, the green economy and other new industries, Beijing'...
October 28, 2025
Trump praises Japan’s ‘great’ female leader Takaichi in talks on trade, critical minerals
U.S. President Donald Trump lavished praise on Japan's first female leader Sanae Takaichi in Tokyo on Tuesday, welcoming her pledge to accelerate a military buildup and signing deals on trade and critical minerals. Takaichi, a close ally of Trump's friend and...
October 26, 2025
Thai, Cambodia leaders sign expanded ceasefire deal with Trump present
The leaders of Thailand and Cambodia signed an enhanced ceasefire deal on Sunday in the presence of U.S. President Donald Trump, who intervened in July to bring an end to their deadly five-day border conflict. The agreement was signed soon after Trump's arriv...
October 28, 2025
Indian Embassy in Riyadh to host week-long cultural festival celebrating diaspora heritage
The Embassy of India in Riyadh is organising the third edition of Pravasi Parichay, a comprehensive cultural festival showcasing India's diverse heritage, from today ( October 28) to November 3, 20...
October 17, 2025
Hamas aims to keep grip on Gaza security and can’t commit to disarm, senior official says
Hamas intends to maintain security control in Gaza during an interim period, a senior Hamas official told Reuters, adding he could not commit to the group disarming - positions that reflect the difficulties facing U.S. plans to secure an end to the war. Hamas...
October 17, 2025
Trump says he expects expansion of Abraham accords soon
U.S. President Donald Trump said he expected an expansion of the Abraham Accords soon and hopes Saudi Arabia will join the pact that normalized diplomatic relations between Israel and some Arab states. "I hope to see Saudi Arabia go in, and I hope to see othe...
October 24, 2025
France’s Socialists threaten to oust government amid fraught budget talks
France's Socialists have threatened to topple the government by Monday if their budget conditions are not met, saying on Friday they would file a no-confidence bill early next week if billionaires are...
October 23, 2025
US sanctions Russian oil companies as Moscow holds nuclear drills
The United States hit Russia's major oil companies with sanctions on Wednesday and accused the Russians of a lack of commitment toward ending the war in Ukraine, as Moscow conducted a major training exercise involving nuclear arms. The new sanctions were un...
October 17, 2025
Picasso painting disappears en route to Granada exhibit
A 1919 Pablo Picasso painting has disappeared in transit ahead of its display at a temporary exhibition in the southern Spanish city of Granada, prompting a police investigation, according to the foundation organising the exhibit. The CajaGranada Foundation s...
October 28, 2025
Trump praises Japan’s ‘great’ female leader Takaichi in talks on trade, critical minerals
U.S. President Donald Trump lavished praise on Japan's first female leader Sanae Takaichi in Tokyo on Tuesday, welcoming her pledge to accelerate a military buildup and signing deals on trade and crit...
October 27, 2025
Trump dismisses 2028 VP run as ‘too cute,’ leaves door open to third term talk
U.S. President Donald Trump on Monday ruled out running for vice president in the 2028 election but declined to definitively say he would not seek a third term, keeping alive speculation about how he might seek to extend his time in office. Trump has repeated...
October 23, 2025
US sanctions Russian oil companies as Moscow holds nuclear drills
The United States hit Russia's major oil companies with sanctions on Wednesday and accused the Russians of a lack of commitment toward ending the war in Ukraine, as Moscow conducted a major training exercise involving nuclear arms. The new sanctions were un...
October 15, 2025
MoS Kirti Vardhan Singh arrives in Kampala for Non-Aligned Movement ministerial meeting
Minister of State for External Affairs and Environment, Kirti Vardhan Singh, has arrived in Uganda's capital Kampala, to lead the Indian delegation at the 19th Mid-Term Ministerial Meeting of the Non-...
August 14, 2025
Ethiopian fossils reveal new species in human evolutionary lineage
Researchers have unearthed tooth fossils in Ethiopia dating to about 2.65 million years ago of a previously unknown species in the human evolutionary lineage, one that lived in the same time and place as the earliest-known member of the genus Homo to which our...
August 3, 2025
Trump reaffirms support for Morocco’s sovereignty over Western Sahara
U.S. President Donald Trump has reaffirmed support for Morocco's sovereignty over Western Sahara, saying a Moroccan autonomy plan for the territory was the sole solution to the disputed region, state news agency MAP said on Saturday. The long-frozen conflict ...



















































